AOTRAUMA.ORG Центр Илизарова  

Ортопедия и травматология Общие вопросы/General questions Help Информационные технологии в медицине
 вверх
 отправить
 поиск
 админ
 главная


Врожденная деформация таза
Ортопедия и травматология Отправлено Смирнов Алексей 27 Август 2012, 16:18
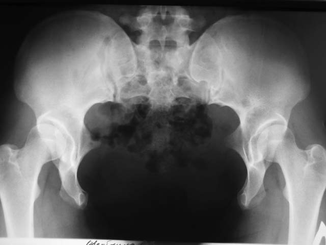
Пациентке 23 года. Деформация врожденная. Беспокоят умеренные боли в задних отделах таза после длительной ходьбы.
Ходит - не хромает. Деформация стабильная. Что делать? И делать ли...

<  |  >

 

  • Сообщения о Ортопедия и травматология
  • Также Смирнов Алексей
  • Связаться с автором
  • Ответить

    Re: Врожденная деформация таза
    Коваленко А.Н. 30 Август 2012, 00:38
    Скажите пожалуйста, как вы определяли стабильность? Есть у вас снимки с нагрузкой справа и слева? Можете их предоставить? Боли одинаково выражены с обеих сторон?
    [ Ответить ]

    Re: Врожденная деформация таза
    maxim agalakov 30 Август 2012, 20:48
    сейчас можно ничего не делать, если косметика не беспокоит (фотку!), а вот если надумает рожать-может быть проблема, стандартных решений нет. думается об аппарате с открытым вмешательством спереди и сзади через проколы частично. Понятно, КТ-МРТ перед этим
    [ Ответить ]

    Re: Врожденная деформация таза
    Леша 31 Август 2012, 01:52
    Добрый день. Не сильно вразумел, какова суть аппарата в данном случае? Пусть живет спокойно.
    Кстати, как звучит рентгенологический диагноз?
    [ Ответить ]

    Re: Врожденная деформация таза
    Атом Тер-Григорян 31 Август 2012, 11:05
    Боли после длительной ходьбы при таком расхождении абсолютно нормальное явление. Со временем, вероятнее всего придется вмешаться, тем более если предполагается беременность. ИМХО аппарат и пластина на переднее полукольцо будут состоятельны при остеотомии крестца.
    [ Ответить ]

    Re: Врожденная деформация таза
    Шведовченко Игорь Владимирович 02 Сентябрь 2012, 01:07
    Уважаемый Алексей,а что у пациентки с мочевым пузырем и половыми органами? Была ли экстрофия мочевого пузыря, а если была, оперирована ли?
    [ Ответить ]

    • Re: Врожденная деформация таза
      Отправитель: Смирнов Алексей 02 Сентябрь 2012, 21:21
      У больной также аномалия и мочеполовой системы, одна почка, в детстве неоднократно оперирована по поводу экстрофии мочевого пузыря, выполнялась пластика половых органов. Выражены рубцы на передней брюшной стенке.

      [ Ответить ]
    Re: Врожденная деформация таза
    Djoldas Kuldjanov, M.D. 02 Сентябрь 2012, 21:53
    В литературе описание врожденннего диастаза симфиза упоминается в разделе малформации передней стенки живота с грыжей уро-генитальных органов. Лечение экстропии или гипоспадии в ранней стадии описано во множественных публикациях, и только Vaz C, Salvador MJ, Malcata А "Congenital diastasis of pubic symphysis" описывает диастаз без вовлечения внутренних органов.
    Литературный поиск по поводу лечения у взрослых результатов не дает, и, возможно, лечение зависит от вовлечения в процесс внутренних органов, и поэтому
    вряд ли в данном случае совместима тактика лечения (наружными фиксаторами) постпартум или постравмтатического разрыва симфиза.
    Учитывая уникальность представленого материала желательно собрать более подробный анамнез и со всеми ренгенологическими данными, а также с результатами "Gait analisis" выставить для общего обозрения. Выставленный материал или случаи из практики помог бы в познании редкой паталогии таза.


    [ Ответить ]


    ( Ответить )

    Powered by Zope  Squishdot Powered MedLink
    Посетитель: 0000165
      "По форме правильно, а по существу - издевательство" В.И.Ленин
    ©2001-2019Orthoforum Coordinator.
    [ Главная | Отправить сообщение | Поиск | Админ ]